HOW MUCH WOULD YOU LIKE TO OFFER FOR THIS PROPERTY?
Additional details

$ 49,000
Est. payment /mo
Active
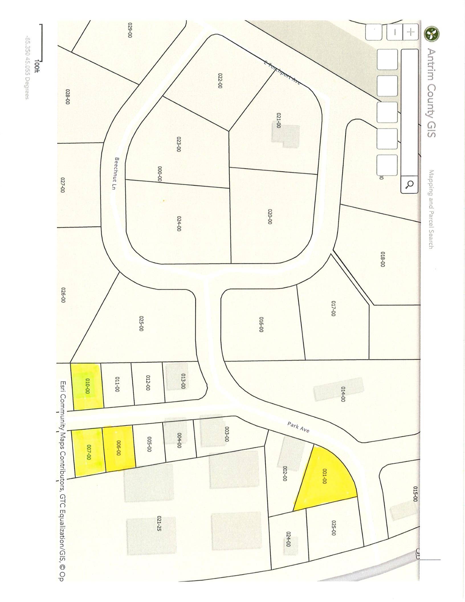
6 Hangar WAY MI 49648
9,147 Sqft Lot
UPDATED:
Key Details
Property Type Vacant Land
Listing Status Active
Purchase Type For Sale
Subdivision Torchport Airpark
MLS Listing ID 78080013425
Lot Size 9,147 Sqft
Acres 0.21
Property Description
Prime commercial hangar buildable lot, with direct access to the runway, located in Torch Lake, Michigan. Build your hangar and fly in and out to access one of the most beautiful places in our country. This commercially zoned parcel allows for you to build your own hangar and be a part of this unique, growing aviation community. Runway 9/27 was recently PAVED at 3000’ long by 60’ wide. New pilot controlled lighting was installed in addition we added PAPI lights on both runway 9 & 27. The assessments on this lot are paid in FULL and HOA dues are minimal annually. Underground electric is on-site, each unit will need its own well, septic and propane. There are only 14 commercial lots TOTAL!! Reserve yours today and fly into your Northern Michigan adventure. Located just minutes from Torch Lake, golf courses, wineries, Village of Elk Rapids, Charlevoix and more.
Location
State MI
County Antrim
Area Area88021Torchlaketwp
Interior
Fireplace No
Exterior
View Y/N No
Building
Lot Description Cleared
Sewer None
Water None
New Construction No
Schools
High Schools Elk Rapids
School District Elkrapids
Others
Acceptable Financing Cash, Conventional
Listing Terms Cash, Conventional
Special Listing Condition Standard
Virtual Tour https://listings.mivirtualtours.com/videos/0192be30-9da0-72e6-b9fb-d29d39e3dae8

©2026 Realcomp II Ltd. Shareholders
Listed by Kellie Sergent of Century 21 Northland-Elk Rapids






