HOW MUCH WOULD YOU LIKE TO OFFER FOR THIS PROPERTY?
Additional details

$ 230,000
Est. payment /mo
Active
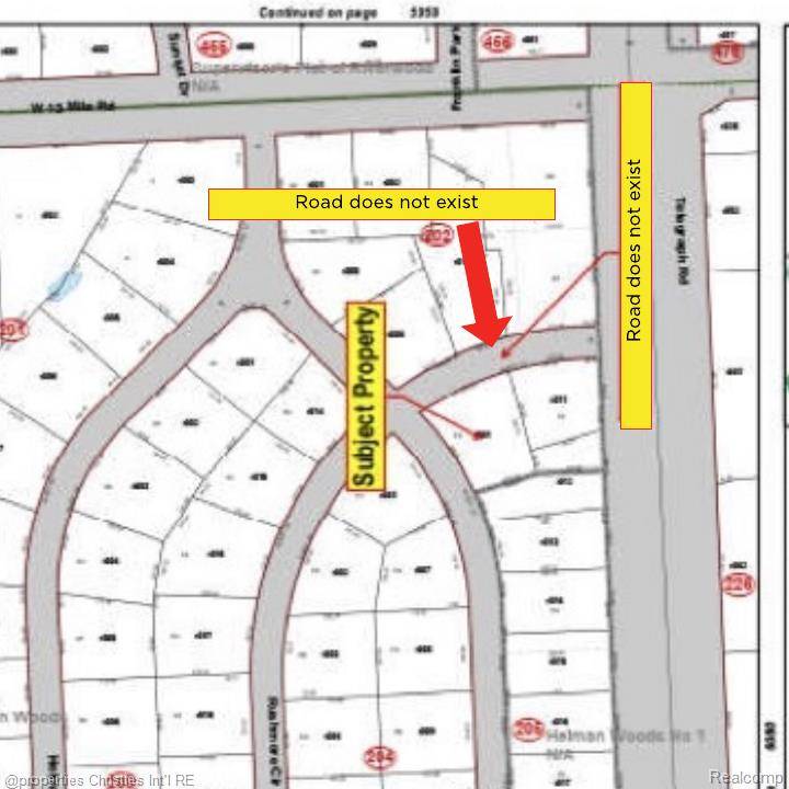
000 Birchway DR Franklin, MI 48025
0.64 Acres Lot
UPDATED:
Key Details
Property Type Vacant Land
Sub Type UnimprovedLand
Listing Status Active
Purchase Type For Sale
MLS Listing ID 20240062729
Lot Size 0.640 Acres
Acres 0.64
Property Sub-Type UnimprovedLand
Property Description
Build your dream home on this beautiful wooded .64-acre lot in the highly sought-after Franklin Village, within the award-winning Birmingham School district. Nestled in the serene Helmandale neighborhood, this lot is surrounded by a blend of newer homes and charming ranches, offering a perfect balance of modern living and classic appeal. Franklin Village hosts various activities throughout the year in its quaint historical village center. Plus, enjoy convenient access to The Lodge M-10 freeway, providing seamless connectivity to surrounding areas. *This property can connect to the sewer by grinder pump.
Location
State MI
County Oakland
Area Area02241Franklinvlg
Interior
Fireplace No
Exterior
View Y/N No
Building
Sewer Septic Needed
Water Well
New Construction No
Schools
High Schools Birmingham
School District Birmingham
Others
Senior Community false
Acceptable Financing Cash, Conventional
Listing Terms Cash, Conventional
Special Listing Condition ShortSaleNo, Standard

©2026 Realcomp II Ltd. Shareholders
Listed by Lisa Nederlander of @properties Christie's Int'l R.E. Birmingham





